Sibiu | Punct: Piaţa Gării, Strada Alexandru Odobescu - Sala De Sport, Strada Cetăţii | Anul: 2003


Descriere:

Raport ID:
2348
Anul cercetarii:
Perioade:
Evul Mediu;
Epoci:
Evul Mediu;
Categorie:
Apărare (construcţii defensive); Domestic;
Tipuri de sit:
Tip neprecizat;
Cod RAN:
Județ:
Sibiu
Unitate administrativă:
Mun. Sibiu
Localitate:
Sibiu
Punct:
Piața Gării, Strada Alexandru Odobescu - Sala De Sport, Strada Cetății
Localizare:

Instituții și
Persoane implicate:
Nume Prenume Rol Instituție
Munteanu-Beşliu Petre participant Muzeul Naţional Brukenthal, Sibiu
Raport:
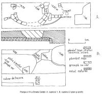
Piaţa Gării (săpătură arheologică preventivă) Zonele din proximitatea porţilor de intrare aparţinând fortificaţiei Sibiului medieval au intrat în sistemul de informare arheologică cu ocazia unor săpături supravegheate şi a unor sondaje arheologice efectuate în zona Porţii Elisabeta. Dintre toate structurile de apărare ale oraşului medieval, Poarta Elisabeta a fost pusă în evidenţă datorită prezenţei în vecinătate, pe lângă structurile defensive (şanţ, val), a unor mănăstiri şi biserici cercetate arheologic.1 De asemenea, terenul din afara zidului de apărare a fost sondat arheologic în 1996, cu ocazia amplasării pe strada Blănarilor a sediului BRD. Actualul raport cuprinde informaţiile arheologice esenţiale rezultate din întreaga zonă. Proiectul de restructurare urbanistică a zonei a permis continuarea cercetării arheologice în terenul aflat la V de Capela Crucii. În prezent, zona din exteriorul Porţii Elisabeta, marcată de capela Crucii şi Gara C.F.R. este cunoscută sub numele de Piaţa Gării. Scopul cercetării arheologice în zona apropiată Capelei Crucii este acela al relevării încărcăturii istorice, cerinţă a Planului Urbanistic Zonal. În mod concret, sondajele arheologice au avut sarcina de a verifica ipoteza amplasării mănăstirii dominicanilor lângă sau sub Capela Crucii, de a stabili traseul zidului de apărare şi amplasamentul construcţiilor legate de apărarea intrării în oraşul medieval. Condiţiile din teren şi cele financiare au modificat planul iniţial al studierii arheologice a Porţii Elisabeta. Proiectul arheologic a cuprins două secţiuni perpendiculare la V de Capela Crucii. Secţiunea I (S I) a avut L de 19 m şi l de 1,5 m şi a fost trasată la 25,70 m de zidul vestic al Capelei Crucii. A doua secţiune, de verificare a informaţiilor din S I, a avut dimensiuni mai modeste: 5 x 1 m. Capela Crucii a intrat în circuitul bibliografic prin monografia lui Soterius de la mijlocul secolului al XVIII-lea. Autorul a transcris inscripţia aflată pe stâlpii bolţii ce adăpostea Crucifixul începând cu 1683.2 Grupul statuar format din Isus pe cruce, Maria şi Ioan, împreună cu bibliografia Capelei Crucii au fost cuprinse în corpul de inscripţii medievale ale oraşului Sibiu.3 Capela Crucii este menţionată în ghidurile oraşului Sibiu. În ghidul semnat de Alexandru Avram şi Vasile Crişan aflăm că grupul statuar a fost recuperat dintre ruinele mănăstirii dominicanilor.4 Afirmaţia a fost nuanţată în ghidul cultural - artistic apărut în 1998: "Crucifixul, provenit cu mare probabilitate din mănăstirea dominicană din afara cetăţii, a fost reamplasat pe locul respectiv (??), în aer liber, în anul 1683".5 Alte informaţii ce trebuie verificate le aduce Andrei Kertesz în Ghidul Sibiul şi împrejurimile: destinaţia de biserică de cartier a capelei ridicate în 1755 şi trăsăturile crucifixului care sugerează mai degrabă o lucrare târzie de la începutul secolului al XVIII-lea, în pofida semnăturii şi a datei pe care o poartă.6 Chiar şi numai aceste referinţe bibliografice ridică semne de întrebare asupra locaţiei mănăstirii dominicanilor şi a relaţiei ei cu Capela Crucii. Din aceste motive este necesar să aducem în discuţie monografia lui Friedrich Ziglauer7 şi informaţiile istorice primare. Studiul fundamental pentru evoluţia fortificaţiilor oraşului medieval Sibiu, inclusiv pentru Poarta Elisabeta, rămâne cel scris de Ludwig Reissenberger.8 Descrierea turnului şi a porţii se regăseşte în albumul lui Johann Böbel. Informaţiile istorice au fost preluate în ghidurile de oraş menţionate. Apartenenţa turnului la incinta lărgită a oraşului nu ridică semne de întrebare. Zona din afara Porţii Elisabeta este cunoscută mai ales datorită existenţei mănăstirii dominicanilor, distrusă de tătari, după cum relatează Analele de la Erfurt.9 Menţionarea refacerii mănăstirii în 1246 trebuie privită cu rezervă, documentele referindu-se în general la ajutorul acordat tuturor mănăstirilor din Ungaria pentru a se reface.10 Călugării dominicani sunt pomeniţi în mai multe rânduri în secolele XIII-XIV, între altele, ca beneficiari ai unor donaţii testamentare.11 Mănăstirea dominicanilor reapare în documente doar în 1474, când Magistratul permite comunităţii de călugări să se mute între zidurile oraşului: "monasterium extra muros Civitatis invasionibus Teurcorum expositum intra muros transferatur".12 În testamentul plebanului Mathäus din Şona este amintită o biserică sub numele de Zum Heiligen Kreuz.13 Prevederea testamentară are în vedere mănăstirea dominicanilor şi nu capela rămasă în afara oraşului. O biserică a leproşilor a fost distrusă prin ordinul municipalităţii la 28 decembrie 1659, după cum relatează Paulus Prölfft: "28 Dezember-Item ist die Seich-Kirch ausser dem Elisabether Thor von uns in Grund abgebrochen worden".14 Anul 1683 aduce menţiunea existenţei unui acoperiş pentru Crucifix15, dar în 1755 se ridică o construcţie specială pentru adăpostirea lui: Capela crucii.16 Turnul de poartă Elisabeta a fost pomenit în lista cu depozitele de pulbere ale oraşului din 1560 Beim Elizabeten thor in der kyrschner turren 80.17 Poarta Elisabeta a beneficiat în mai multe rânduri de subsidii din partea comunităţii sibiene. Prima menţiune este din anul 1478: Ad portam Elisabet dedi duobus custodibus flor.1 Steffano Curssori et Valentino Lanifici.18 Consemnările despre poarta, podul şi valul de la "Sfânta Elisabeta" se pot urmări până în anul 1501.19 Săpături mecanice efectuate în anii 1987-1988 au afectat zidul de apărare şi şanţul adiacent în zona de la intersecţia străzilor 9 Mai şi Blănarilor. Buza dinspre est a şanţului se afla la 7,50 m faţă de zidul de incintă. În partea inferioară, aflată sub apă, profilul şanţului este marcat de un zid lat de 60 cm. În profilul şanţului, zidului din piatră i-a corespuns un strat de nisip suprapus de nivelul de construcţie a zidului. El a fost suprapus de un strat de pământ negru, mâlos. Şanţul a măsurat 3,50 m adâncime. Din zona investigată stratigrafic a fost recuperat un fragment dintr-un gard din lemn format din pari dispuşi oblic şi crengi împletite. La baza gardului au fost observate urme de arsură. Substrucţia zidului de fundaţie este lată de 1,50 m. Zidul a fost observat în groapa de excavator până la adâncimea de 0,80 m. Elevaţia zidului de apărare are lăţimea de numai 50 cm. Materialul arheologic a fost evident până la adâncimea de 1,70 m. Sub această cotă s-a aflat un strat de pământ mâlos cu bucăţi de lemn. Puţine fragmente ceramice şi materiale de construcţii au mai apărut în unele sectoare ale secţiunii lungi de 29 m şi între –3 şi –3,50 m. Prezentarea situaţiei stratigrafice este necesară pentru a convinge că zona cercetată nu era favorabilă unei mănăstiri. Stratigrafia secţiunii I este dominată de un strat de nivelare format din pământ brun, cu porţiuni în care a apărut material arheologic bogat. Dedesubtul straturilor de nivelare se evidenţiază un strat consistent de pământ cenuşiu, mâlos cu puţine materiale arheologice - bucăţi de cărămizi şi fragmente ceramice. În carourile 2-3, sub stratul mâlos, a fost observat un nivel de pietriş cu câteva fragmente ceramice medievale. În stratul negru, crescut sub cel descris, se află unul format din pământ negru, mâlos, marcat în caroul 3 de arsură. Stratul de nisip, fără materiale arheologice se adânceşte de la 2,70 m. În extremitatea nordică a secţiunii, stratul de pietriş cu bucăţi de mortar se adânceşte până la 2,20 m. Pe malul de N al secţiunii nu se observă stratul de pietriş. Sub nivelul de construcţie al zidului se află un strat de pământ brun, cu pete galbene, precedat de un strat de pietriş şi unul de pământ brun, cu pete maronii. Straturile nu conţin materiale arheologice. Amenajarea din cărămizi şi pietre de râu este precedată de straturi de nisip, arsură şi de pământ brun şi succedat de un strat de pământ negru ce poartă în partea superioară pietriş sau beton. În analiza situaţiei stratigrafice a terenului trebuie să evidenţiem şi nivelul consistent de nisip ce succede într-o zonă a secţiunii stratul de pământ cenuşiu, mâlos cu puţine materiale arheologice. Secţiunea II a ilustrat existenţa unui strat format din pietre de râu, precedat de arsură la adâncimea cuprinsă între limitele 0,80 m şi 1 m. Nivelul de depunere geologică - pământ brun-maroniu cu pete galbene - se adânceşte de la 1,30 m. Terenul se profilează în pantă de la jumătatea secţiunii spre S, nivelarea fiind marcată de un strat de pământ cu fragmente de cărămizi şi pietriş. Între –1, 10 m şi -1,30 m se observă straturi de pietriş cu sau fără material arheologic. Peste amenajarea cu pietre s-a depus un strat de pământ cu fragmente de cărămizi şi moloz. - substrucţie din pietre de râu şi puţine fragmente de cărămizi groase de 4 cm. Zidul a fost afectat de o posibilă revărsare de râu şi de un şanţ ulterior. Faţa nordică a zidului are h de 50 cm. Un rând de pietre iese în afara planului suprafeţei laterale formând talpa zidului. La acest nivel au apărut alte câteva pietre în vecinătatea zidului. Faţa nordică a zidului a fost ascunsă de pământul aflat sub un cablu electric. - pavaj din pietre de râu. Pavajul are lăţimea de 80 cm. - pavaj din cărămizi. Urmele unui pavaj din cărămizi se află în continuarea pavajului din pietre de râu. Pavajul a fost amenajat pe un strat de pământ brun-gălbui. - amenajare din cărămizi şi din pietre de râu. Pavajul era format din două rânduri de cărămizi suprapuse. Latura dinspre N a fost afectată de rădăcina unui pom. Pe suprafaţa pavajului au apărut urme de arsură. Sub pavaj au fost observate straturi de nivelare şi urmele unui incendiu. - în secţiunea I au mai apărut cabluri protejate de canale din cărămizi şi o ţeavă de apă. - urmele şanţului unei conducte din lemn au fost vizibile în S II. - urmele unor ateliere pentru prelucrat fier şi sticlă au apărut în S II. Cercetarea arheologică a permis recuperarea unor piese arheologice, a unor fragmente de piese din lut, sticlă, metal. Materialul ceramic descoperit aparţine în mare măsură sec. XVII-XVIII: fragmente de recipiente smălţuite sau nesmălţuite (oale, tigăi, căni, urcioare) capace, cahle cu ornamente vegetale. Informaţii mai ample despre materialul ceramic vor fi furnizate odată cu publicarea raportului final al cercetării arheologice din zonă. Într-un singur loc, într-un nivel inferior de pietriş, au apărut fragmente ceramice nesmălţuite: două buze de oale, una lăţită şi cealaltă rotunjită, un fragment de capac. Din stratul inferior de pământ negru a fost recuperat un perete de oală, fiind evidentă folosirea nisipului cu mică ca degresant. Piese din sticlă: partea inferioară a unui recipient din sticlă cu diametrul de 6 cm; flacon din sticlă cu planul circular, înălţimea 8 cm, diametru 4 cm; flacon pentru parfum în forma unui animal, fragmentar, L = 13 cm; eprubetă din sticlă, fragmentar, l = 8 cm, d = 2,2 cm. Piese din metal: aplică din bronz cu inscripţia GESETZLICH GESCHUTZ ETERNIT; d = 2,5 cm; potcoavă din fier cu deschierea arcului de 5,7 cm; fragment de cuţit din fier cu l = 3 cm; răzuitor din fier, fragmentar, L = 14 cm; verigă din fier, d = 9 cm; cârlig din fier, lungimea 16 cm. Cercetarea arheologică a pornit de la prezumţia expusă explicit sau implicit în bibliografia problemei, a existenţei unei continuităţi de locuire începând cu mănăstirea dominicanilor, biserica leproşilor şi leprozeria oraşului până la construcţia ce adăposteşte, începând cu anul 1755, grupul statuar creat de Petrus Lantregen. În analiza istorică avem în vedere că nu există o bază de date istorice solide pentru a demonstra relaţia topografică directă între mănăstirea dominicanilor şi Capela Crucii din 1755. Cea mai veche localizare a adăpostului grupului statuar - care a mobilat după cele mai avizate opinii mănăstirea dominicanilor - este datorată lui Morando Visconti. Mărturiile mai vechi indică doar o localizare generală a bisericii - în afara oraşului sau în afara Porţii Elisabeta. Pro monasterio sanctae Crucis pomenită în testamentul plebanului din Şona din 1502 poate fi la fel de bine mănăstirea dominicanilor din interiorul incintei medievale şi nu biserica rămasă pe locul fostului claustru dominican. Conţinutul testamentului este util însă analizei istorice pentru că o prevedere se referă la leprozeria oraşului .20 Scrisoarea în care se fixează condiţiile intrării dominicanilor în Sibiu aduce în discuţie vechea mănăstire, spune documentul, distrusă.21 Este la îndemână ipoteza că mănăstirea ruinată nu a fost abandonată, ci transformată în leprozeria amintită în 1502, ce trebuia amplasată la o distanţa de siguranţă faţă de oraş. Cercetarea arheologică nu a relevat însă un teren bun de fundaţie ci unul inundabil, neprielnic unei construcţii de amploare. Chiar zidul care a fost amenajat într-o perioadă care, stratigrafic analizată, succede evului mediu a fost afectat de sursele de apă învecinate: canale şi heleştee. Secţiunea II a arătat că spre est nivelul de la care s-au depus straturile de pietriş este mai înalt. Pe de altă parte, ea a surprins, sub forma a doi bolovani de mari dimensiuni, limita zidului din S I cu funcţie, probabil, de dig. Descoperirea este interesantă pentru că, după informaţiile de până acum, digurile erau confecţionate din împletituri de lemn şi pământ. Pe un teren uşor înălţat s-au amenajat înainte de mijlocul secolului al XVIII-lea ateliere de fierărie şi sticlărie. Lipsa flacoanelor din sticlă pledează pentru producerea sticlei de ferestre, iar consistenţa depunerilor pentru o perioadă scurtă de folosire. De fapt, trenul a devenit prielnic activităţii umane după ce a fost ridicat considerabil nivelul de călcare prin depuneri repetate de pietriş şi moloz. În secolul al XVIII-lea, acţiunea a fost finalizată şi în această zonă au apărut, potrivit informaţiilor lui Johann Böbel, grădinile baronului Brukenthal şi Reissenfeld împreună cu Capela Crucii. La nivelul actual, al cercetării arheologice a terenului de la V de Capela Crucii, nu se poate concluziona că mănăstirea dominicanilor şi leprozeria au fost pe acest loc. Amplasarea unei comunităţi de leproşi în zona cercetată arheologic este greu de crezut, având în vedere distanţa faţă de oraş. Mai degrabă, amplasarea Capelei Crucii este rezultatul restructurărilor urbanistice şi sociale (vezi comunitatea care producea sticlă) din a doua jumătate a secolului al XVII-lea şi secolul următor. Strada Alexandru Odobescu - Sala De Sport La jumătatea lunii august 2003, cupa excavatorului angajat în lucrări pregătitoare construirii sălii de sport din curtea Liceului de Artă din Sibiu s-a oprit în bolţile unor clădiri îngropate în mal. Prin intervenţia DCCPCN Sibiu a fost asigurată asistenţa arheologică de specialitate. Cursul evenimentelor a condus mai întâi la temperarea demolării pentru a facilita asistenţa arheologică. Substrucţiile au fost demolate până la limita străzii actuale. Bolţile şi zidurile rămase în afara perimetrului sălii de sport, dezvelite de constructori, s-au prăbuşit în iarna anului 2003-2004. Nu ştim dacă propunerea înaintată Primăriei Sibiului de conservare a zidurilor nevandalizate şi continuare a cercetării arheologice fost luată serios în considerare. Importanţa istorică şi starea actuală a sitului arheologic impun însă intervenţia instituţiilor centrale abilitate. În perioada august - septembrie 2003 am asistat la "desfacerea" (termen tehnic pentru "demolare") unor structuri de zidărie, care, în cea mai mare parte, au fost înregistrate fotografic, iar dimensiunile consemnate în scris. Au fost recuperate planuri de încăperi mai apoi distruse, situaţii stratigrafice, amenajări sub sau în structura zidurilor, material arheologic - inclusiv monede. Câteva repere în teren au fost marcate topometric. O desincronizare cu activităţile specifice şantierului de construcţie a împiedicat înregistrarea stratigrafică a terenului dintre Groapa cu lei şi casa de la numărul 22. La activitatea de recuperare arheologică au participat, prin voluntariat, în perioade şi cu aport deosebit tineri specialişti. Cercetarea camerelor aflate sub nivelul drumului este la început, astfel că raportul se limitează doar la obiectul contractului: asistenţa arheologică pentru eliberarea de sarcină istorică a terenului destinat sălii de sport. Interesul cercetării arheologice a fost determinat de amploarea sitului arheologic ce urma a fi afectat de amplasarea sălii de sport, într-o zonă situată sub terasa superioară a oraşului medieval. Terenul pe care urma să fie amenajat spaţiul de sport al Liceului de Artă a putut fi locuit numai după ce lacul Kempel a fost desecat. Deasupra terenului cercetat arheologic se desfăşura în evul mediu strada Hundsrücken. Actuala stradă Alexandru Odobescu (Pempflingergasse), văduvită în 1934 de insula de case devenită sit arheologic, cobora pe sub turnul de poartă adosat Primăriei Vechi spre vechiul arsenal al oraşului. Clădirea cunoscută sub numele de Casa cu Lei a fost propusă pentru repertoriul monumentelor istorice din 1916 şi trecută în lista refăcută în 1923 de Michael Csaki. Emil Sigerus a fost martorul demolării clădirilor în anul 1934. Demolarea l-a determinat pe cunoscutul istoric şi etnograf sibian să publice un articol cu informaţii istorice despre clădirea binecunoscută localnicilor sub numele de Löwengrube (Groapa cu lei).22 Din articolul lui Emil Sigerus cunoaştem cea mai timpurie datare a unei bârne încastrate în casa de la numărul 20 (anul 1652) şi doi dintre proprietarii Gropii cu lei: meşterul Johann Sebastian şi fiul său. În inventarele Muzeului de Istorie din Sibiu există piesele de lapidariu provenite de la Groapa cu lei: o statuie miniaturală a Prorocului Daniel şi doi lei din piatră. În afara pieselor de lapidariu, aceleaşi colecţii muzeale cuprind grilaje de fier recuperate în urma demolării şi fotografii document ale nefericitului eveniment. Un album aflat în fototeca muzeului oferă imagini ale caselor de pe strada Pempflinger şi strada Raţelor din perioada abandonării lor. Este surprinzător faptul că insula de case relativ recent demolată, cu urme în colecţiile muzeului, nu a fost menţionată în studiile de urbanism şi în recentul repertoriu arheologic. Ordinea de prezentare a informaţiilor arheologice este dată de numerotarea crescătoare a caselor dinspre terasa de sus spre terenul fostului lac, aşa cum apărea de la sfârşitul secolului al XVIII-lea. Raportul cuprinde în prima sa parte descrierea şi dimensiunile fundaţiilor şi camerelor, pavajele, instalaţia de apă, gropile de provizii, relaţii stratigrafice. Depozitul de fier şi cereale; azilul de femei (Pempflingergasse 14) Sub nivelul depozitului, din vechea construcţie a fost vizibil un fragment de zidărie mixtă lat de 1 m. Construcţia este marcată de fragmente ceramice glazurate. Pietre de râu de mari dimensiuni au fost evidente în terenul natural, mâlos, pe care s-a construit aşezământul social. Din structura depozitului au fost scoase la iveală trei segmente de zidărie: un stâlp lat de 1,30 m acoperit de un strat gros de tencuială. De acest stâlp se lega un zid lat de 2,30 m ce forma latura dinspre curte. Colţul dinspre stradă este format dintr-un stâlp cu faţa de 1,40 m şi un fragment de zidărie lat de 1,50 m. Zidăria stâlpului înglobează structuri mai vechi. Terenul învecinat a fost consolidat cu fundaţii late de 30 cm, alcătuite din pietre. Nu au fost observate urme de pavaj la nivelul încăperii subterane din care au făcut parte zidurile menţionate. Structurile de zidărie se regăsesc în planul construcţiei de la începutul secolului al XVIII-lea. Drumul medieval învecinat depozitului era lat de 2,80 m şi pavat cu pietre de râu. Raporturile stratigrafice arată că pavajul din pietre a fost amenajat după construirea azilului şi a clădirii de la numărul 16. Nivelul de construcţie al azilului este suprapus de un nivel de incendiu, mai apoi aşezându-se pavajul din pietre de râu. Sub nivelul pavajului se află straturi consistente de pietriş cu puţin material arheologic şi profilurile unor denivelări în pietrişul natural. Conducta pentru apă a fost suprapusă de pavajul drumului medieval. Din amenajarea pentru aducţiunea apei a fost recuperat un manşon care lega tuburile din lemn. Casa de la numărul 1623 Camera A se afla la parterul clădirii cu ieşirea înspre curte. Peretele dinspre stradă, lat de 90 cm, avea o firidă cu lăţimea de 70 cm şi adâncimea de 70 cm. Golul de trecere spre camera învecinată, spre teatru, era marcat de o uşă cu cadrul din lemn şi lăţimea de 1,34 m. Deschiderea a tăiat un arc din cărămizi anterior. Zidul dinspre curte, lat de 70 cm, cu fundaţia din pietre şi cărămizi se termina cu un contrafort din piatră cu planul pătrat de 65 x 65 cm. Lăţimea camerei este de 2,70 m la nivelul fundaţiei. Deasupra nişei din peretele spre stradă a fost vizibilă o gaură (pentru stâlp?) tăiată de bolta camerei. Bolta a fost adosată încăperii dinspre Pempflingergasse. Pe mijlocul camerei a fost săpat un şanţ lat de 0,30 m şi adânc de 0,70 m. Peste tencuiala camerei s-a depus glet, apoi straturi succesive de zugrăveală cu pigmenţi galbeni, verzi şi roz. Zugrăveala cu pigment galben a fost afectată de arsură. Camera B învecinată camerei A are lăţimea de 3 m. Se păstrează doar zidul dinspre stradă, fără fundaţie. Sub talpa zidului se află pământ negru cu pietricele. Fereastra se află la 2 m de talpa zidului. Sub talpa zidului se vedea un pavaj lat de 0,70 m, format din cărămizi groase de 5 cm. Pavajul este marcat de arsură. Sub pavaj este un canal din lemn. Amenajarea din lemn a tăiat un strat de lut şi unul de arsură. Zidul dinspre sud prezintă un arc de descărcare în partea inferioară, cu deschiderea de 2,40 m. Sub arc se află o zidărie lată de 50 cm. Cărămizile din arc au grosimea de 4-6 cm. Camera B 1 a fost amenajată în continuarea camerei B, sub nivelul străzii. Pentru rezistenţa pereţilor a fost amenajat un arc din cărămizi lat de 50 cm. Arcul este ulterior camerei A, adosându-se unei firide anterior amenajate în lăţimea peretelui ei. Faţada camerei B 1 a fost ridicată lăsând liber un spaţiu de 1,30 m între ea şi arcul de cărămizi. Zidul camerei B 1 este lat de 70 cm, iar golul uşii măsoară 1,30 m. În spaţiul dintre arcul din cărămizi şi peretele camerei B 1 a fost observată o bârnă cu laturile de 20 x 25 cm, probabil căzută din tavan. Arcul s-a dărâmat în iarna anului trecut. Camera C avea lăţimea de 3 m. Ea are în colţul dinspre sud gură de ventilaţie, iar în pământ o amenajare cu ziduri din cărămizi, cu L de 1,20 m, l de 34-46 cm şi adâncimea de 50 cm. Ea a fost suprapusă parţial de zidul dinspre stradă. O nişă cu lăţimea de 1,20 m s-a aflat pe peretele din spate. Camera a fost alungită de la zidul de închidere ale camerei B. Ea nu se continuă cu un spaţiu sub nivelul străzii, aşa cum s-a întâmplat în cazul camerelor învecinate. Casa cu numărul 18 (Groapa cu lei) are un perete comun cu casa învecinată cu lăţimea de 1 m. Nivelul casei este cu 1,10 mai jos decât cel al casei învecinate. Camera D are 2,70 m lăţime, iar în grosimea peretelui un orificiu de aerisire cu d de 14 cm. Camera D1 amenajată în continuarea camerei D, sub stradă, a avut înălţimea de 2,30 m. Deschiderea între cele două camere avea 1 m, iar zidul despărţitor, din cărămizi, era lat de 45 cm. Camera E avea 5 m lăţime şi lungimea urmărită până la 10,40 m (latura dinspre curte a fost distrusă după 1934). Camera a fost pavată cu cărămizi. Peretele dinspre teatru este lat de 70 cm. În grosimea peretelui se află un orificiu de aerisire ce pleacă de la o deschidere lată de 70 cm. Zidul lateral al etajului dinspre sud, alcătuit din piatră, este mai lat decât cel al pivniţei. Prin amenajarea lui a fost afectată umplutura unei gropi cu urme de arsură. Peretele dinspre stradă are o deschidere pentru acces dreptunghiulară şi câte o firidă de o parte şi alta. Lăţimea zidului dinspre teatru este de 70 cm. Casa cu numărul 20 a fost legată de casa învecinată printr-un pavaj din lemn. La 1,70 m de zidul Casei cu lei, în josul pantei, a fost vizibil un zid paralel cu strada, care se adânceşte în pietriş 0,60 m. El a delimitat o cameră de 2,50 m lăţime. Următoarea cameră a fost mărginită de un zid lat de 80 cm, alcătuit din cărămizi şi pietre, cu urme de arsură la nivelul fundaţiei. Peretele despărţitor S are 30 de cm lăţime. Sub nivelul casei au apărut urmele unei pivniţe late de 2,14 m, cu zidurile late de 50 cm şi 15 cm. Talpa este la –2,25 m de nivelul străzii. Pivniţa este căpăcuită de un strat de arsură, iar în umplutură s-au aflat fragmente ceramice glazurate. Deasupra pivniţei se afla un pavaj format de 1 - 2 rânduri de cărămizi. Camera ce a suprapus pivniţa avea o latură de 3,80 m, iar următoarea cameră măsura 2,90 m. Peretele dinspre S era lat de 60 cm. El mărginea o groapă lată de 2,20 m umplută cu cenuşă. Casa cu numărul 22 se compunea dintr-un coridor lat de 0,50 m cu dublu acces: spre o încăpere cu lăţimea de 4,70 şi urme de refacere, de care a fost adosată spre curte o cameră mai mare, cu planul de 6 x 6,50 m. O cărămidă hexagonală arată că în etapa a doua de extindere camera de la parter a fost pavată. Coridorul permitea accesul şi spre o altă încăpere subterană aflată sub actuala stradă. Fundaţiile camerei amenajate spre curte erau din pietre de râu şi cărămizi. O încăpere de 1 x 1,50 m, pe aceeaşi latură, marca intrarea din curte. Accesul în gârliciul pivniţei se făcea pe scări din lemn. În stratul de nisip, sub nivelul scărilor, au apărut bucăţi de cărămizi. Prin amenajarea gârliciului a fost intersectat un nivel de pământ negru cu pigmenţi de pământ ars. Gropile medievale Groapă pentru provizii aflată sub nivelul casei de la numărul 20. Groapa s-a adâncit până la –2,60 m faţă de pavajul actual. Ea se află la 5,50 m de peretele camerei E, în josul pantei. Dimensiunile gropii sunt: lmax. 2,80 m, h de 1,70 m. În umplutură erau prezente fragmente de cărămizi, arsură, iar pe fund cereale carbonizate. Deasupra gropii au fost observate straturi succesive de pământ brun şi galben şi apoi fundaţia casei Groapa de sub camera C a fost observată după ce s-a atins solul nisipos. Ea avea o formă cvasi circulară cu axele de 3 x 2 m şi adâncimea de 2 m. Groapa avea o manta de pietriş, material observat şi în umplutură. În fapt, groapa a fost umplută cu pământ negru conţinând material arheologic: fragmente ceramice, oase de animale, pigmenţi de var şi de lemn ars. Marginea gropii nu a fost vizibilă sub nivelul camerei B. O altă groapă adâncită în nisip se extindea de sub camera A în direcţia drumului medieval, unde se observă depuneri de pietriş şi nisip. Pe fundul gropii a fost observată amprenta păstrată pe o lungime de 82 cm a unei bârne din lemn. Sub nivelul casei 22 săpătura mecanică a lăsat să se vadă în nisip amprenta unui şanţ cu l de 3,20 m. Recuperarea informaţiilor despre amenajările din curţile caselor a fost afectată de graba cu care s-au făcut gropile pentru fundarea sălii de sport. Amenajarea din bârne de lemn (fântână?) avea lăţimea de 1,50 m şi adâncimea mai mare de 1,80 m. Presupusa fântână s-a aflat la limita dintre gospodăriile caselor 16-18 şi era compusă din stâlpi verticali care fixau, împreună cu malul din pământ, bârne orizontale. Groapa pentru posibila fântână se adâncea în stratul de nisip. Groapa de var s-a aflat în perimetrul casei de la numărul 22. Au fost recuperate puţine informaţii: lăţimea de 15 cm a zidului ce căptuşea groapa şi lungimea mai mare de 90 cm. Pentru stratigrafia zonei este relevantă descrierea depunerilor observată în groapa făcută de constructori la limita dinspre Teatrul de păpuşi. Sub solul actual, format dintr-o depunere de 0,20 m de pietriş se află un strat de 0,90 m de pământ brun cu arsură, amestecat cu nisip. Între -1,10 şi -1,30 m este nisip, urmat în adâncime de un strat lat de 0,90 m de pământ brun roşcat cu pigmenţi de arsură, apoi de nivele de sedimente (nisip, pământ brun şi negru). Împreună cu piesele întregi, din cupru, fier, sticlă, transferate Laboratorului de restaurare al MNB Sibiu, materialul arheologic cuprinde fragmente ceramice cu caracteristicile produselor medievale şi trei monede: monedă din cupru, an 1784, camera A; monedă de cupru, an 1785, camera A; monedă de cupru, casa 22, camera adosată. Asistenţa arheologică a permis ilustrarea şi completarea informaţiilor istorice despre insula de clădiri de pe strada Alexandru Odobescu, parte a evoluţiei structurilor urbanistice medievale şi moderne. Informaţiile şi materialul arheologic prelucrate cu mijloace ştiinţifice pot intra în circuitul cultural. Efortul făcut pentru degajarea unor informaţii planimetrice şi stratigrafice în condiţii de şantier, fără săpătură manuală necesară cercetării arheologice, se cere continuat pe terenul dezafectat al străzii Alexandru Odobescu. Strada Cetăţii (săpătură de salvare) Restaurarea teatrului municipal (Sala Thalia) a fost precedată de cercetări arheologice sistematice care au vizat Turnul Lăcătuşilor şi edificiul amintit la început.24 Reabilitarea străzii Cetăţii şi excavarea terenului în luna noiembrie 2003 a scos la lumină substrucţii şi amenajări medievale. Interesul faţă de urmele arheologice s-a datorat ineditului lor într-o zonă populată mai târziu cu clădiri, numită din acest motiv auf dem Wiesen - pe pajişte. Singura construcţie cunoscută între centura zidurilor de apărare şi Piaţa Mare era o "moară a preoţilor", acţionată prin forţa animalelor. Cercetarea şi punerea în valoare a unor vestigii arheologice era contextuală efortului de restaurare a teatrului şi a zonei, aşa cum s-a petrecut în sec. al XVIII-lea. La acest efort ne-am alăturat deşi data calendaristică şi temperatura vestea iarna, iar forţa de muncă s-a limitat la cea a autorului, sprijinit la ceea ce vom numi cuptorul 1 de colegii Claudiu Muntean şi Mircea Dan Lazăr. Săpătura necesară reabilitării drumului a lăsat în urmă material ceramic medieval şi amenajări greu de identificat înaintea unei minime intervenţii arheologice. Cuptorul 1. Amenajarea din cărămizi suprapusă de clădirea de la numărul 10 a străzii Cetăţii a fost mai uşor de dezvelit, urmele ei fiind la suprafaţă. Lama buldozerului a cruţat un rând de cărămizi care urmau un traseu circular. În interiorul formei circulare s-a adâncit vatra unui cuptor de copt oale cu axa N - S de 1,50 m. În partea de S, cercul din cărămizi mai lat la capete lăsa o deschidere de 50 cm. Vatra arsă roşu se întindea cu 20 cm în afara circumferinţei deja menţionată. Deschiderea era mărginită pe latura vizibilă de cărămizi de mărime deosebită. Multe din cărămizile care au alcătuit bolta se prezentau fragmentar. În interiorul presupusei guri de ventilaţie erau evidente fragmente de cărămizi care au putut sprijini un sistem de închidere a cuptorului. Spaţiul care alcătuia gura de alimentare era limitat de alt rând de cărămizi ce se întindeau pe o lungime de 0,70 m. Urmele lăsate de sistemul de închidere al vetrei cuptorului sunt mai complicate decât la cel de ventilare. A fost evidentă o formă circulară din lut cu urmele lăsate de rotirea unei tije axiale. Descrierea anterioară aparţine unui cuptor care a suprapus un altul din care s-a păstrat o parte din vatra adâncită şi gura de ventilaţie. Cele două cuptoare sunt comparabile ca mărime. Stratul de depunere cu materiale ceramice medievale s-a extins la nord de cuptor în adâncituri care au avut legătură funcţională cu instalaţia de copt oale. Cuptorul 2 a fost mai dificil de atins din cauza adâncimii şi a extinderii sub un strat de beton. În schimb, am putut sonda cu forţe proprii terenul de la V de cuptor, în adâncimea Pajiştii. Presiunile constructorilor şi ameninţarea vremii nefavorabile sunt motive pentru care secţiunea arheologică ce s-a întins doar pe o lungime de 6,50 m spre V în culoarul de trecere între străzile Cetăţii şi Tipografilor, nu s-a adâncit în groapa cu var şi nu a atins nivelul inferior a unei zidării superficiale. Straturile superioare ale terenului secţionat fuseseră îndepărtate înaintea intervenţie noastre. Amenajările surprinse în secţiune se intersectează. Ele aparţin însă perioadei moderne, de locuire sistematizată. Pereţii din cărămizi ai cuptorului 1 au fost afectaţi de umezeala din teren. Cărămizile s-au degradat lăsând impresia unei mase compacte de pământ roşu. Deosebirea planimetrică faţă de cuptorul 1 este evidentă chiar în condiţiile dezvelirii unei jumătăţi. Vatra s-a adâncit cu 0,40 m faţă de nivelul de călcare. Una din ieşirile din spaţiul vetrei se afla spre vest, fiind marcată de cărămizile intens arse. Axa de 1,40 m evidenţiată arheologic se datorează unui decroş în zona măsurată. Construcţie medievală (post medievală?) Urmele unui stâlp cu fundaţia din pietre de râu şi elevaţia din cărămizi groase de 4,5 cm au rămas în urma săpăturii mecanice în dreptul intrării în curtea casei cu numărul 16. Stâlpul cu o latură de 55 cm făcea parte dintr-o construcţie din cărămizi a cărei mărime este sugerată şi de lăţimea de 40 cm a fragmentului de zid păstrat. Materialul arheologic aflat între dărâmăturile cuptoarelor a fost incomplet ars şi de aceea precar conservat. Cantitatea mare a fragmentelor ceramice obligă la o analiză mai detaliată decât într-un raport de asistenţă. Remarcăm însă următoarele: - fragmentele cahle plate cu personaje regale, ca de altfel toate fragmentele de cahle au fost recuperate în vecinătatea cuptorului 1; - deschiderea gurii cănilor este disproporţionat de mare faţă de restul corpului, iar peretele oalelor este nefiresc de subţire. Săpătura arheologică de salvare a identificat două cuptorare de ars oale în vecinătatea zidului de apărare şi al turnului apărat de breasla olarilor. Astfel devine plauzibilă identificarea unei zone atribuite breslei olarilor şi a unui teren unde au existat, probabil, mai multe cuptoare de copt oale în sec. XIV - XVI. Fragmentele de cahlă pot fi datate pe considerente stilistice la mijlocul secolul al XV-lea, iar funcţionarea cuptoarelor într-o perioadă anterioară. Vetrele celor două cuptoare şi structurile de cărămizi au fost protejate cu carton gudronat şi acoperite cu pietriş. Cuptorul 1, faza a II-a a fost marcat în asfalt cu cărămizi moderne, rezistente. Substrucţia lui a fost acoperită cu bucăţi de carton asfaltic, zidul nou construit fiind adus imediat sub actualul nivel de călcare. Intersecţia cuptoarelor în acel loc va fi prezentată doar grafic, neexistând soluţia marcării buzei vetrei de cuptor inferior.
Rezumat:

Campania din 2003 s-a concentrate în trei sectoare: Piaţa Gării, Strada Alexandru Odobescu şi Strada Cetăţii. La nivelul actual, al cercetării arheologice a terenului de la V de Capela Crucii, nu se poate concluziona că mănăstirea dominicanilor şi leprozeria au fost pe acest loc. Amplasarea unei comunităţi de leproşi în zona cercetată arheologic este greu de crezut, având în vedere distanţa faţă de oraş. Mai degrabă, amplasarea Capelei Crucii este rezultatul restructurărilor urbanistice şi sociale (vezi comunitatea care producea sticlă) din a doua jumătate a secolului al XVII-lea şi secolul următor. Asistenţa arheologică a permis ilustrarea şi completarea informaţiilor istorice despre insula de clădiri de pe strada Alexandru Odobescu, parte a evoluţiei structurilor urbanistice medievale şi moderne. Informaţiile şi materialul arheologic prelucrate cu mijloace ştiinţifice pot intra în circuitul cultural. Săpătura arheologică de salvare din Str. Cetăţii a identificat două cuptorare de ars oale în vecinătatea zidului de apărare şi al turnului apărat de breasla olarilor. Astfel devine plauzibilă identificarea unei zone atribuite breslei olarilor şi a unui teren unde au existat, probabil, mai multe cuptoare de copt oale în sec. XIV - XVI.