Cucuiş | Comuna: Beriu | Judeţ: Hunedoara | Punct: Colnic - Cetatea medievală | Anul: 2000
Descriere:
Raport ID:
1202
Anul cercetarii:
Perioade:
Evul Mediu;
Epoci:
Evul Mediu;
Categorie:
Apărare (construcţii defensive);
Tipuri de sit:
Fortificaţii;
Cod RAN:
| 88298.02 |
Județ:
Hunedoara
Unitate administrativă:
Beriu
Localitate:
Cucuiș
Punct:
Colnic - Cetatea Medievală
Localizare:
| 88298.02 |
Instituții și
Persoane implicate:
Persoane implicate:
| Nume | Prenume | Rol | Instituție |
|---|---|---|---|
| Căstăian | Mihai Cristian | participant | Muzeul Civilizaţiei Dacice şi Romane, Deva |
| Ţuţuianu | Costin Daniel | participant | Muzeul Civilizaţiei Dacice şi Romane, Deva |
| Pinter | Zeno-Karl | participant | Universitatea "Lucian Blaga", Sibiu |
Raport:
Punctul numit "Colnic" se află la 626 m altitudine, dominând de la răsărit satul Cucuiş, de pe culmea piemontană denumită de localnici "Muchia Cetăţii", care coboară spre N din blocul Munţilor Şureanu, încadrată de Valea Cucuişului şi Valea Cetăţii. Cetatea medievală de aici apare semnalată la sfârşitul veacului al XIX-lea şi amintită în studii de specialitate din anii ’70. Conservarea monumentului este relativ slabă, zidul incintei fiind acoperit cu pământ şi vegetaţie, structura sa ieşind la suprafaţă în câteva puncte datorită excavaţiilor din deceniile trecute ale căutătorilor de comori.
Cercetarea arheologică urmăreşte studierea cetăţii medievale, a structurii formei incintei şi amenajărilor interioare, punerea în valoare a materialelor arheologice descoperite, inclusiv urmele mai vechi ale unei locuiri preistorice aparţinând culturii Coţofeni. Prin alinierea mai multor secţiuni s-a urmărit obţinerea unor magistrale stratigrafice dispuse perpendicular, una pe alta, verificări stratigrafice fiind realizate prin intermediul unui număr mai mic de carouri. Cercetarea sistematică a fost iniţiată în anul 1998 şi continuată în 1999 şi 2000, cele trei campanii de până acum însumând realizarea a 19 secţiuni şi 2 carouri.
Monumentul este o cetate medievală datând din secolele XIII - XIV, folosită ca loc de refugiu de una dintre comunităţile libere din Scaunul Orăştiei şi care suprapune o mai veche vatră de locuire preistorică. Pentru conservarea acestei arii este necesară stabilirea unei zone de protecţie a cetăţii, ameninţată de iminenta exploatare forestieră.
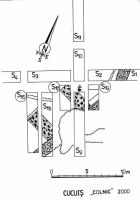
Campania de cercetări arheologice, din anul 2000, la cetatea medievală Cucuiş - "Colnic" a inclus trasarea şi realizarea a unui număr de patru noi secţiuni (S. 16, S. 17, S. 18, S. 19), care au urmărit finalizarea magistralei orientate pe direcţia NNV - SSE şi degajarea substrucţiilor din zona turnului de poartă al cetăţii.
S. 16 având dimensiunile de 8,4 x 1,5 m, a fost trasată paralel cu S. 15, fiind lăsat un martor de 0,5 m. Prin executarea ei a fost pus în evidenţă capătul laturii de SV a turnului de poartă şi talpa fundaţiei. Marginea de SSE a secţiunii intersectează zidul de incintă care are un traiect oblic. Măsurătorile făcute la exteriorul zidurilor turnului de poartă pun în evidenţă faptul că lungimea zidurilor turnului adosat incintei este de 4,65 m, în timp ce lăţimea turnului la exterior este de 7,6 m.
S. 17, de 3,5 x 1,5 m, este paralelă cu S. 9, de care o despart 0,5 m, şi cu S. 15, aflată la un metru depărtare, fiind orientată perpendicular pe S. 3, la 0,5 m distanţă. În cadrul acestei secţiuni a putut fi observat capătul laturii de NE a turnului de poartă şi adâncimea fundaţiei. Lăţimea zidului turnului de poartă, surprins în S. 9 şi S. 17, este de 1,9 m, în timp ce pentru dimensiunile interioare ale acestui turn, lăţimea măsurată în S. 15 şi S. 17 este de 3,6 m.
S. 18, având 2,1 x 1,5 m, a fost plasată în continuarea magistralei S. 9 - S. 14, la exteriorul zidului de incintă a cărui lăţime, în punctul respectiv, are dimensiunea de 1,6 m. Fundaţia incintei coboară cu 0,3 m faţă de cealaltă faţă a zidului surprinsă în S. 14 / 1999. În cadrul secţiunii au fost surprinse urme materiale ale unei locuiri Coţofeni, o vatră de foc şi resturi ceramice.
S. 19, de 3,6 x 1,5 m, a fost aşezată paralelă cu S 9 şi perpendiculară pe S. 2, în ambele cazuri având lăsat un martor de 0,5 m. Au fost puse în evidenţă traiectul oblic al zidului de incintă, evazarea spre interior cu 0,08 m a fundaţiei pe ultimii săi 0,4 m adâncime, şanţul de fundare a zidului şi faptul că latura turnului de poartă se adosează incintei. La fundul săpăturii au apărut câteva fragmente ceramice preistorice.
Planşa 17
Note:
[1]. M. Căstăian - Cetatea medievală de la Cuuciş-"Colnic", în Buletinul Cercuriloe Ştincifice Studenţeşti (BCSS), I, Alba-Iulia,1995, p. 121-125.
Z.K. Pinter, M. Căstăian, D. Ţuţuianu – în Cronica Cercetărilor Arheologice din România (C.C.A), campania 1998 şi C.C.A.R., campania 1999, p. 34.
Z.K. Pinter, M. Căstăian, D. Ţuţuianu – în Cronica Cercetărilor Arheologice din România (C.C.A), campania 1998 şi C.C.A.R., campania 1999, p. 34.

CC BY-SA 4.0