Negrileşti | Judeţ: Galaţi | Punct: Curtea Şcolii | Anul: 2011
Descriere:
Raport ID:
4850
Anul cercetarii:
Perioade:
Preistorie; Evul Mediu;
Epoci:
Neolitic; Eneolitic; Epoca bronzului timpuriu; Epoca bronzului; Epoca migraţiilor; Epoca medievală timpurie; Epoca medievală timpurie; Evul Mediu;
Categorie:
Domestic;
Tipuri de sit:
Aşezare deschisă;
Cod RAN:
| 75285.01 |
Județ:
Galați
Unitate administrativă:
Negrilești
Localitate:
Negrilești
Punct:
Curtea Școlii
Localizare:
| 75285.01 |
Instituții și
Persoane implicate:
Persoane implicate:
| Nume | Prenume | Rol | Instituție |
|---|---|---|---|
| Ilie | Costel | responsabil | Muzeul de Istorie Galaţi |
| Adamescu | Adrian Ionuţ | participant | Muzeul de Istorie Galaţi |
| Alecsă | Daniela | participant | Muzeul Mixt Tecuci |
| Ciobotaru | Paul | participant | Muzeul Mixt Tecuci |
| Nicu | Mircea | participant | Muzeul Mixt Tecuci |
| Cotoi | Ovidiu Soleriu | participant | Universitatea "Dunărea de Jos", Galaţi |
Raport:
Situl arheologic Negrileşti „Curtea Şcolii" a fost cercetat pentru prima oară în anul 1981, iar în anii 2007-2011 au fost derulate mai multe campanii de cercetări arheologice, ce au pus în evidenţă complexe de locuire umană, încadrate cronologic din neolitic până în epoca modernă1.
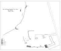
Obiectivele cercetării arheologice din acest an au constat în descărcarea de sarcină arheologică a unei suprafeţe situată în curtea şcolii gimnaziale, unde Primăria Negrileşti doreşte reamenajarea terenului aferent şcolii, în vederea derulării în bune condiţii a procesului educativ. Pe această suprafaţă urmează a se construi o sală de sport şi se va reamenaja terenul de sport. Având în vedere amploarea lucrărilor de reamenajare a spaţiului din curtea şcolii, în suprafaţă de cca. 4000 mp, s-a decis efectuarea unei secţiuni magistrale (SM.1) de 70 x 2 m, orientată E-V, pornind de la 18,5 m faţă de colţul sud-vestic al corpului vestic al clădirii şcolii. Pentru o mai bună încadrare în planul general al cercetărilor, am procedat la caroierea perimetrului sitului în sectoare de 50m/50m. Zona cercetată în acest an se află în sectoarele B5 şi B6, situate în zona de sud-est a sitului. Pe lângă SM.1 au mai fost deschise două casete Cs.1 (2 m/2 m) şi Cs.2 (6 m/4 m) al căror scop a fost de a evidenţia complexele arheologice surprinse în SM.1. În cele trei unităţi de săpătură cercetate anul acesta au fost descoperite 5 locuinţe, 26 gropi menajere, o vatră, o conductă de aducţiune a apei şi 6 complexe ce conţin aglomerări de material arheologic (ceramică, chirpic, cărămidă, sticlă, metal, etc.). Din punct de vedere cronologic, acestea aparţin epocii bronzului, perioadei migraţiilor, secolele VII-X şi epocii moderne.
Secţiunea magistrală SM.1 a fost deschisă cu scopul de a surprinde densitatea de locuire între unităţile de cercetare în anii anteriori, în punctele „Centrala termică" (secţiunile Sc.1-Sc.5) şi „Curtea Şcolii" (S.3-S.6). Densitatea cea mai mare de complexe arheologice a fost surprinsă în partea estică a secţiunii, majoritatea urmelor arheologice sunt datate în secloul IV p. Chr., puţină ceramică din secolele VII-X şi izolat din epoca bronzului. Această secţiune a permis punerea în evidenţă a trei locuinţe specifice culturii Sântana de Mureş-Černjachov, a 24 gropi datate în epoca bronzului, secolul IV p. Chr., epoca modernă, o vatră, precum şi a unor resturi materiale din perioada secolelor XVIII-XIX (beci, conductă de aducţiune a apei, ceramică, metal, sticlă). S-au prelevat fragmente ceramice datate în epoca bronzului, urme de locuire specifice culturii Sântana de Mureş-Černjachov, constând în fragmente ceramice, os prelucrat şi obiecte de metal, precum şi materiale din perioada modernă, ceramică, pipe, obiecte din metal şi sticlă.
Pentru a putea observa continuarea locuinţei L.2, apărută în secţiune, în dreptul c.17, a fost deschisă caseta 1(Cs.1), perpendicular pe latura de sud a acesteia. Din această casetă au rezultat fragmente ceramice specifice culturii Sântana de Mureş-Černjachov, concentrate pe latura nordică a casetei, zonă în care se află limita sudică a L.2.
Pe latura de nord a SM.1 a fost deschisă caseta 2 (Cs.2), în dreptul c.5-7, pentru a surprinde continuarea locuinţei L.1, ce a apărut în secţiunea magistrală. S-a observat continuarea L.1 în c.1A, 1B, 2A, 2B. Această locuinţă este suprapusă de o alta, L.3, apărută la -0,45 m -0,75 m. Locuinţa L.3 a fost prevăzută cu o vatră aşezată pe un strat de pietre şi pământ bătut. În casetă au fost surprinse şi două gropi Gr.25, pe latura estică a L.3 şi Gr.26 în profilul de vest, în c.2B. Din această casetă au rezultat fragmente ceramice, obiecte din metal şi os, specifice culturii Sântana de Mureş-Černjachov şi din epoca modernă.
În suprafaţa cercetată au fost puse în evidenţă mai multe zone cu aglomerări de material arheologic, ceramică, bucăţi de chirpic, cărămidă, sticlă, metal, denumite generic complexe (Cpl. 1-10). Dintre cele 10 complexe identificate, 4 s-au dovedit a fi locuinţe, 2 din secolul IV şi 2 din perioada modernă. Celelalte 6 complexe constituie amenajări, din perioadele menţionate mai sus, a căror formă, dimensiuni şi utilitate nu am stabilit-o încă.
Locuinţa 1 (L.1) a fost surprinsă în SM.1, în c.5-7, între -0,9m şi -1,4m. Este o locuinţă adâncită, de formă rectangulară, orientată NV-SE şi are dimensiunile de 2,9m/2,4m. Materialul ceramic este specific culturii Sântana de Mureş-Černjachov.
Locuinţa 2 (L.2) a apărut, în SM.1, c.16-17, la -0,5m. Forma nu a putut fi determinată, dimensiunile surprinse fiind de 2m/2,6m. Probabil se continuă în partea de nord a SM.1. Materialul ceramic este specific culturii Sântana de Mureş-Černjachov.
Locuinţa 3 (L.3) a fost surprinsă în Cs.2 la -0,75m. Locuinţa de formă rectangulară, cu dimensiunile de 2,9m/2,5m, este orientată NV-SE. Pe latura de vest a fost surprinsă o vatră şi numeroase fragmente ceramice specifice secolului IV p. Chr.
Locuinţa 4 (L.4) a fost surprinsă în SM.1, c.14-15 la -0,25m. Orientarea este NV-SE, dimensiunile surprinse fiind de 2,6m/0,8m. Materialul descoperit este de epocă modernă şi constă în fragmente ceramice, cărămidă spartă, pipe şi un cercel din bronz.
Locuinţa 5 (L.5) a apărut în SM.1, c.22-25 la -0,2m. Orientarea este NV-SE, dimensiunile surprinse fiind de 7m/2,2m. Materialul descoperit este de epocă modernă şi constă din cărămidă spartă, fragmente ceramice, pipe, fragmente de vase din porţelan şi sticlă. Locuinţa a fost prevăzută cu un beci, care se adâncea până la -2,9m. Pe fundul beciului au apărut urmele unor gropi de pari care susţineau podeaua locuinţei.
Pe lângă complexele menţionate au mai fost sesizate şi golite un număr de 26 de gropi, de forme şi dimensiuni diferite, dintre care 24 în SM.1 şi 2 în Cs.2. Una dintre acestea se încadrează în epoca bronzului, nouă au avut material specific secolului IV p. Chr, patru au avut un conţinut de materiale datate în epoca modernă, iar 12 gropi au fost lipsite de inventar.
În Cs.2 a fost pusă în evidenţă o vatră ce a apărut la -0,45m, pe latura de vest a L.3, având dimensiunile de 0,8m/0,7m, crusta, de 1,5cm, fiind aşezată pe un strat de pietre de dimensiuni mici şi mijlocii sub care era pământ bătut. În jurul acesteia au fost găsite numeroase fragmente ceramice specifice culturii Sântana de Mureş-Černjachov.
În SM.1, c.30, la adâncimea de -0,35m, a fost evidenţiată o conductă de aducţiune a apei ce era realizată din olane cu lungimea de 0,3m şi diametrul de 0,1m şi aşezată direct pe pământ, pe direcţia NNE-SSV. Conducte asemănătoare, de aceiaşi epocă modernă, au mai fost descoperite şi în campaniile anterioare, ele făcând parte din sistemul de aducţiune a apei la curtea boierească ce se afla aici.
Cercetarea preventivă din acest an a dus la descoperirea a numeroase materiale arheologice, datate în marea lor majoritate în secolul IV p. Chr. şi la începutul perioadei moderne. Au apărut izolat şi puţine fragmente ceramice datate în epoca bronzului şi în secolele VII-X p. Chr.
Ceramica aparţinând Culturii Sântana de Mureş-Černjachov2 este formată din două tipuri, provenind de la diferite forme de vase. Primul tip este reprezentat de ceramica lucrată cu mâna. Din această categorie remarcăm vasele lucrate din pastă grosieră având în compoziţie ceramică pisată, calcar şi pietricele, de culoare cărămizie şi cărămiziu cenuşie, arsă incomplet, decorate cu brâie simple şi alveolate. Al doilea tip este reprezentat de ceramica lucrată la roată. În această categorie se remarcă existenţa a trei subtipuri şi anume: ceramica din pastă grosieră cu nisip, calcar şi pietricele în compoziţie, de culoare cenuşie şi cărămizie; ceramica din pastă semifină de culoare cenuşie, cu angobă, având în compoziţie pietricele şi calcar şi ceramica din pastă fină de culoare cărămizie şi cenuşie, lustruită.
O altă categorie este reprezentată de ceramica de import, din pastă semifină şi fină, de culoare gălbuie şi roşie, cu urme de vopsea roşie, iar ca forme avem amfore, ulcioare şi oale.
Alături de ceramica specfică culturii Sântana de Mureş-Černjachov au mai fost descoperite câteva obiecte din metal (fibulă, fragment de oglindă), os (fragment de pieptene), fusaiole şi greutăţi din lut ars.
Materialul arheologic specific perioadei moderne este constituit dintr-o gamă variată de ceramică smălţuită şi nesmălţuită, faianţă, porţelan, sticlă şi metal.
Cercetarea preventivă din acest an, a confirmat intensa locuire în acest areal începând cu epoca bronzului, continuând cu secolele IV p. Chr., VII-X p. Chr., până în perioada medievală târzie şi modernă. Au fost puse în evidenţă trei locuinţe specifice culturii Sântana de Mureş-Černjachov, două complexe de locuire din epoca modernă, 26 de gropi datate în epoca bronzului şi cea postromană (secolul IV p. Chr.), o vatră, precum şi resturi materiale din perioada secolelor XVIII-XIX (beci, conductă de aducţiune a apei, ceramică, metal, sticlă).
Întrucât suprafaţa ce va fi supusă reamenajării este de circa 4000 m2 şi intensitatea de locuire în diferite perioade istorice este confirmată arheologic, se impune continuarea cercetării, până la epuizarea perimetrului respectiv, pentru a se clarifica evoluţia comunităţilor umane în perioadele menţionate.

CC BY-SA 4.0