Pitești | Comuna: Municipiul Pitești | Judeţ: Argeș | Punct: Biserica „Sfinții Îngeri” a fostului schit Buliga, Str. Armand Călinescu nr. 44 | Anul: 2022
Descriere:
Titlu raportului:
Raport de cercetare arheologică de la Pitești, jud. Argeș, Punct: Biserica „Sfinții Îngeri” a fostului schit Buliga, Str. Armand Călinescu nr. 44
Raport ID:
7004
Anul cercetarii:
Perioade:
Evul Mediu; Perioada modernă;
Epoci:
Evul Mediu; Epoca medievală târzie; Perioada modernă;
Tipuri de sit:
Structură de cult/religioasă; Necropolă; Biserică;
Cod RAN:
| 13178.27 |
Județ:
Argeș
Unitate administrativă:
Municipiul Pitești
Localitate:
Pitești
Punct:
Biserica „Sfinții Îngeri” A Fostului Schit Buliga, Str. Armand Călinescu Nr. 44
Localizare:
| 13178.27 |
Autorizare :
Autorizația pentru cercetare arheologică preventivă
Instituții și
Persoane implicate:
Persoane implicate:
| Nume | Prenume | Rol | Instituție |
|---|---|---|---|
| Păduraru | Marius | responsabil | Muzeul Judeţean Argeş, Piteşti |
| Dumitrescu | Ion | participant | Muzeul Judeţean Argeş, Piteşti |
| Pițigoi | Andi Ioan | participant | Muzeul Judeţean Argeş, Piteşti |
| Popescu | Cornel | participant | Muzeul Judeţean Argeş, Piteşti |
| Lăzărică | Claudiu | participant | Universitatea din Piteşti |
Raport:
Scurtă prezentare a sitului
Cercetarea arheologică preventivă a fost determinată de lucrările de restaurare și consolidare a clădirii fostei Prefecturi a județului Argeș (construcție utilizată pentru expozițiile de bază Istorie și Științele Naturii ale Muzeului Județean Argeș).
Potrivit fișei de sit, altarul și absidele bisericii fostului schit Buliga se aflau în suprafața dintre aripile clădirii Prefecturii[1]. În această suprafață, constructorul S.C. RBS AG CONSTRUCT S.R.L. intenționa să edifice un bloc de lumini, o rețea de canalizare și racordurile la rețeaua electrică și de apă. În jurul bisericii edificate în secolul al XVIII-lea, descoperirile făcute în perioada 1970-2012 documentează și prezența unei necropole din perioadele medievală și modernă.
Dată fiind situația expusă, în vederea asigurării asistenței arheologice, societatea mai sus amintită a contractat ca antreprenor de specialitate Muzeul Județean Argeș. Costurile cercetării arheologice preventive au fost suportate în proporție de 80% de către Consiliul Județean Argeș, UAT Argeș fiind beneficiară a proiectului de restaurare cu tema: Restaurarea Muzeului Județean Argeș - consolidarea, protejarea și valorificarea patrimoniului cultural, proiect finanțat prin Fondul de dezvoltare regională (REGIO), Axa Prioritară 5 – Îmbunătățirea mediului urban și conservarea, protecția și valorificarea durabilă a patrimoniului cultural / Prioritatea de Investiții 5.1 – Conservarea, protejarea, promovarea și dezvoltarea patrimoniului natural și cultural.
Biserica fostului schit a fost înălțată la 1 septembrie 1745, dar s-a definitivat abia în intervalul 7 februarie‒26 mai 1751 de negustorul piteștean Martin Buliga. Deoarece nu avea moștenitori direcți care să se ocupe de acest lăcaș, dar și din cauza stării precare de sănătate, ctitorul l-a închinat Mitropoliei din București[2].
Din fericire, anterior demolării, schitul a fost descris de Dimitrie Butculescu[3] și de Grigore Tocilescu[4], iar la Arhivele Naționale ale României, în fondul Ministerului Culturii și Instrucțiunii Publice se păstrează corespondența privind demolarea sa. Între aceste documente se remarcă un releveu și o schiță de plan cu amplasamentul schitului în raport cu clădirea Palatului Administrativ al Prefecturii. Astfel, din aceste surse aflăm că biserica era de plan triconc, se compunea din pridvor, pronaos, naos și altar și avea o lungime de circa 21 m și o lățime de circa 10 m.
Lăcașul a fost demolat în intervalul 1900-1901, în baza Înaltului Decret Regal nr. 1114/9 martie 1900, în care se preciza că demolarea bisericii Buliga din Pitești fusese încredințată către doi meșteri italieni.
Suprapunerea planurilor alcătuite în anul 1900 peste ortofotoplanurile actuale a permis identificarea cu destul de multă probabilitate a amplasamentului fostei bisericii a schitului Buliga. Tot urmare a acestor suprapuneri de plan se constată că pronaosul bisericii este în totalitate acoperit de clădirea care adăpostește în prezent sediul ARGIF. În colțul de SV al clădirii fostului Palat administrativ, și respectiv la 10 m sud de biserică, în anul 2012, cu ocazia efectuării unui sondaj geodezic, a fost descoperit un mormânt, lipsit de inventar. Desigur, mormântul aparținea necropolei dezvoltate în jurul schitului.
Având în vedere că în lunile ianuarie – martie 2022, vremea a fost nefavorabilă, au fost situații când lucrările au fost stopate temporar. În total, au fost lucrate 45 de zile.
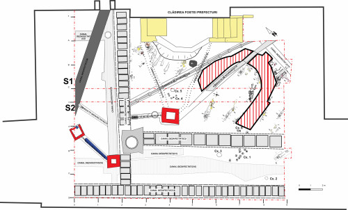
Localizarea și înscrierea sitului în Repertoriul Arheologic Național a fost făcută în anul 2020, grație identificării în Arhivele Naționale ale României a planurilor și releveelor alcătuite cu ocazia demolării bisericii fostului schit[5]. Din suprafața totală a sitului, proiectul de investiție afectează circa 285 mp (Fig. 1).
Obiectivele cercetării
Obiectivul principal al cercetării preventive din acest sit l-a constituit înregistrarea dispersiei contextelor arheologice și cercetarea acestora pe suprafața care urmează să fie afectată de lucrările de restaurare a clădirii fostei Prefecturi a Județului Argeș, actualmente sediul Muzeului Județean Argeș. Descoperirea, înregistrarea și studierea prin metode specifice a structurilor, complexelor, artefactelor sau ecofactelor din perimetrul proiectului, distribuția lor spațială, caracterul și starea lor de conservare au reprezentat de asemenea, obiective prioritare ale cercetării. O atenție deosebită a fost acordată indiciilor care pot ajuta la determinarea caracterului sitului și a cadrului cronologic în care se desfășoară evoluția sa.
Nu în ultimul rând, ne-am propus să precizăm succesiunea fazelor evolutive și relația cu alte descoperiri similare din zonă, contribuind astfel la îmbogățirea imaginii evoluției comunităților umane din perioadele istorice cercetate aici.
Rezultatele cercetării arheologice
În cercetările arheologice preventive efectuate în situl arheologic „Biserica ‹‹Sfinții Îngeri›› a fostului Schit Buliga din Pitești” (Fig. 2) au fost identificate 48 de morminte, trei gropi, trei complexe reprezentând stâlpi dispuși în rețea (piloți de fundație) și zidurile absidei altarului bisericii construite la mijlocul secolului al XVII-lea de Pătru Buliga.
Mormintele fac parte dintr-o necropolă medievală (Fig. 3, 4, 5). Prezența ei în jurul fostului schit Buliga era indicată, anterior efectuării cercetărilor arheologice preventive, de descoperirea a două morminte, unul dintre ele putând fi și datat pe bază de inventar. Temporal, acesta se plasează la sfârșitul secolului al XIX-lea.
Cercetările arheologice preventive au arătat că necropola a fost folosită vreme îndelungată, cel mai vechi mormânt, M14, fiind datat la mijlocul secolului al XVI-lea, iar cel mai recent, M17, în al treilea deceniu al secolului al XIX-lea. Din punct de vedere cronologic, toate cele 48 de morminte se datează în perioadele medieval târzie (secolele XVI-XVIII) și modernă (secolele XVIII-XIX).
Folosirea îndelungată a necropolei este întărită și de nivelurile de înmormântări surprinse în cercetarea arheologică. Ele au fost mai bine observate în spațiul dintre zidul absidei altarului și traseul canalului C17. În acest spațiu, mai puțin deranjat de intervențiile din secolul al XX-lea, au fost constatate patru niveluri de înmormântări. Astfel, un prim nivel de morminte s-a conturat la adâncimi cuprinse între ‒0,86 m și ‒1,14 m, și este reprezentat de mormintele M47, M48, M45 și M46. Aceste morminte sunt anterioare bisericii din secolul a XVIII-lea. Mormântul M47 este cel mai bine conservat, în cazul său s-a constat că nu era orientat perfect V-E, ci VSV-ENE. Deasupra mormintelor M46 și M47, la -0,75 m, a fost identificat cel de-al doilea nivel de înmormântări. Acesta este reprezentat de mormintele M44 și M43. M44 are aceeași orientare cu a mormântului M47, VSV-ENE. M44 este suprapus de M42, acesta făcând parte din cel de-al treilea nivel de înhumări. M42 este orientat V-E. Toate cele trei niveluri sunt anterioare bisericii de la mijlocul secolului al XVIII-lea, fundațiile ei suprapunând sau tăind mormintele enumerate. Peste M44 și M42 se suprapun M25 și M26. Acestea fac parte din cel de-al patrulea nivel de înmormântări. Acest nivel de înmormântări este conturat la adâncimi cuprinse între ‒0,63 m și ‒0,73 m.
Cel puțin două niveluri de înmormântări sunt constatate pe suprafața ocupată de absidă și în zona din jurul ei. Aici, M33 suprapune M32, M18 suprapune M13, M28 suprapune M38, M36 suprapune M36, iar M10 suprapune M11. Totodată, în cazul acestor morminte, se constată că au și o orientare diferită. Defuncții din mormintele suprapuse sunt orientați V-E, iar cei din mormintele care le suprapun, au orientare VSV-ENE.
Concentrarea mormintelor către jumătatea estică a perimetrului cercetat reprezintă o imagine deformată a distribuției mormintelor, deoarece spre colțul de vest al perimetrului sunt constatate mai multe intervenții din secolul XX, care, desigur, au dus la distrugerea complexelor funerare.
În privința distribuției în plan a mormintelor, se constată o ordonarea a acestora pe șiruri care respectă axa nord-sud. Această situație a fost bine observată în cazul mormintelor M35, M38, M37, M28, M36 și posibil M32 și M33. M35, M38, M37 și posibil M32, având orientare V-E, formează un șir de morminte. Ele sunt suprapuse de mormintele M33, M28 și M36, care sunt orientate VSV-ENE și rândul lor formează un șir pe direcția N-S. Având în vedere orientarea și dispunerea M22, este posibil ca acesta să fie contemporan cu grupul de morminte M33, M28 și M36. Dintre mormintele care fac parte din cele două grupuri, doar M37 și M28 au avut inventar. M37 conținea un inel cu veriga torsadată, tip datat în general în secolul al XVI-lea[6], iar inventarul mormântului M28 este reprezentat de o monedă otomană, un aspru din secolul al XVII-lea. Desigur, dat fiind faptul că șirurile de morminte se suprapun, este de presupus că între înmormântări a existat un interval de timp mai mare.
Din totalul de 48 de morminte, 43 au reprezentat morminte de inhumație și cinci au fost identificate ca reînhumări: M15, M17, M24, M26 și M39.
În privința orientării mormintelor de inhumație:
- 22 sunt orientate V-E (M1, M2, M3, M5, M8, M12, M13, M14, M16, M18, M20, M27, M29, M30, M31, M34, M35, M37, M38, M41, M42, M46);
- 11 sunt orientate VSV-ENE (M6, M7, M9, M11, M19, M22, M23, M25, M36, M44, M47);
- 4 sunt orientate VNV-ESE (M10, M28, M32, M33);
- 6 schelete erau păstrate în stare fragmentară, de aceea nu s-a putut preciza orientare corpului (M4, M21, M40, M43, M45, M48);
- 5 schelete au fost reînhumate (M15, M17, M24, M26 și M39)
Defuncții au fost depuși în mormânt în poziție decubit dorsal, cu picioarele întinse. Excepție a făcut M38, așezat ușor pe partea stângă.
Poziția mâinilor pe corp a putut fi observată numai în cazul a 13 defuncți, această situație datorându-se stării precare de conservare a scheletelor. În cazul celor 13 defuncți au fost constatate următoarele situații:
‒ M18, M29 și M5 aveau mâinile împreunate pe piept;
‒ M12, M28, M44 și M47 aveau membrele superioare îndoite din cot și așezate în zona pelviană;
‒ M10, M38 și M42 au membrele superioare flexate din cot și așezate petrecut peste abdomen, cu antebrațele paralele; M38 avea corpul ușor aplecat spre stânga;
‒ M36 avea brațul stâng, sigurul păstrat, așezat pe piept;
‒ M37 avea brațul drept flexat și așezat pe piept, iar brațul stâng era flexat și așezat pe umăr;
‒ M42 avea brațul drept îndoit din cot și așezat pe abdomen, iar brațul stâng așezat pe pelvis.
Dintre cele 48 de morminte, numai 10 au avut inventar. Acesta era reprezentat de piese de port și podoabă, respectiv: cercei – M25; inel – M17, M28, M37; nasturi – M19; copci – M28; mătănii – M12; monede: M14 – (AR, Solyman Magnificul, 1520); M17 – (4 monede de 10 bani, Carol I, 1867); M28 – (AR, aspru, sec. XVII); M34 – (AR, dinar unguresc, Ferdinand I); M47 – (AR, sec. XVI); ținte, provenind, probabil, de la coșciug – M30.
La vest de M12 (Fig. 6), au apărut, în poziție secundară, o cărămidă cu textul „Simeon monah / Amin. Simeon monah” și o oală-borcan spartă. Având în vedere că la M12 craniul a fost dislocat din vechime, cărămida ar putea proveni de la acest mormânt. Prezența mătăniilor la mâna dreaptă permite identificarea lui cu un mormânt care a aparținut unui călugăr.
Podoabele din mormintele M25, M28 și M37 se datează, pe bază de analogii în secolele XVI – XVII.
Cerceii din M25, în formă de floare, își găsesc analogii la București – Biserica Grecilor. În M28, aparținând necropolei bisericii bucureștene, a apărut un cercel de formă similară cu acela găsit de noi în M25, care a fost datat în prima jumătate a secolului al XVII-lea[7]. Inelul cu veriga torsadată și chaton-ul simplu, de formă romboidală, din M37 își găsește analogii la Retevoiești[8]. Datarea inelului din M37 este asigurată de moneda otomană, aspru din secolul al XVII-lea.
Descoperirile monetare se jalonează din secolul al XVI-lea până în secolul al XIX-lea, ele constituind un indicator cronologic bun pentru datarea cimitirului. Primele înhumări au fost făcute către mijlocul secolului al XVI-lea.
Având în vedere prezența podoabelor, dar și a monedelor, cimitirul a fost utilizat cu certitudine și de laici. Singurul mormânt care poate fi atribuit unui călugăr este M12. El face parte din nivelurile de înmormântare anterioare ridicării bisericii din secolul al XVIII-lea.
Zidurile identificate aparțin bisericii de la mijlocul secolului al XVIII-lea, ctitoria lui Martin Buliga. Poziția ei în teren se suprapune peste planul alcătuit în jurul anului 1900. Totodată, cercetările arheologice au confirmat faptul că biserica a fost construită pe un plan înclinat, așa cum se observă și în releveul alcătuit anterior demolării lăcașului.
Rețelele de gropi de stâlpi denumite de noi complexele cx. 1, cx. 4 și cx. 6 reprezintă piloți utilizați pentru susținerea fundaților. Un sistem similar a fost identificat și la biserica mănăstirii Tutana, astăzi în satul omonim, comuna Băiculești, județul Argeș. În acest caz, stâlpii au fost utilizați la biserica din faza a doua, de la 1582, cu scopul de a consolida solul puternic afectat de umiditatea excesivă și, prin urmare, instabil. Stâlpii aveau lungimi care variau între 0,56‒0,70 m, lățimile fiind cuprinse între 0,07‒0,09 cm și erau dispuși la distanțe de 0,18‒0,20 m, întocmai ca în cazul bisericii Buliga[9].
Concluzii
Datarea unora dintre morminte în secolul al XVI-lea, precum și prezența unui mormânt de călugăr, care a fost înhumat anterior mijlocului secolului al XVIII-lea, constituie elemente importante pentru a susține că biserica „Sfinții Îngeri” a schitului Buliga, ctitorie a cupețului piteștean Martin a fost edificată pe locul unei biserici mai vechi, construită, cel mai probabil, în a doua jumătate a secolului al XVI-lea. Urmele acestui edificiu nu au fost surprinse în cercetarea arheologică. Mormântul de călugăr, deși singular, indică faptul că și fundația anterioară secolului al XVIII-lea a fost un schit sau o mănăstire.
Abstract [FR]:
Les recherches archéologiques préventives faites à l'église "Saints Anges" de l'ancien ermitage Buliga de Pitesti, réalisées dans l’intervalle 19.01. ‒ 06.07.2022, a conduit à l'identification de 48 tombes à inhumation datables entre le milieu du siècle XVIe ‒ seconde moitié du siècle le XIXe. Des fondations de l'église de l'ancien ermitage, construite au milieu du XVIIIe siècle, seule l'abside de l'autel a été conservée, un élément important étant les poutres en bois servant à soutenir les murs. L'aspect le plus important de la recherche archéologique est la constatation, faite à partir des tombes et de leurs inventaires, qu'avant l'église fondée par Martin Buliga, il y en avait une autre, construite vers le milieu du XVIe siècle.
Note:
[1]. Disponibil pe: ran.cimec.ro/sel.asp?descript=pitesti-municipiul-pitesti-arges-biserica--sfintii-ingeri--a-fostului-schit-buliga-din-pitesti-cod-sit-ran-13178.27, consultat la 15 septembrie 2022.
[2]. Păduraru, Radu, 2009, p. 184-185.
[3]. Cristocea, Măndescu, 2004, p. 337-338.
[4]. Tocilescu, 1887, p. 5-6 (153-154).
[5]. DANIC, fond Ministerul Culturii și Instrucțiunii Publice, dosar 280/1898.
[6]. Pentru analogii, a se vedea: Popescu, Rosetti 1959, p. 713.
[7]. Mănucu et alii 2009, p. 280-285.
[8]. Popescu, Rosetti 1959, p. 712.
[9]. Cristocea, Oprescu 1988, p. 47-49, fig. 5.
[2]. Păduraru, Radu, 2009, p. 184-185.
[3]. Cristocea, Măndescu, 2004, p. 337-338.
[4]. Tocilescu, 1887, p. 5-6 (153-154).
[5]. DANIC, fond Ministerul Culturii și Instrucțiunii Publice, dosar 280/1898.
[6]. Pentru analogii, a se vedea: Popescu, Rosetti 1959, p. 713.
[7]. Mănucu et alii 2009, p. 280-285.
[8]. Popescu, Rosetti 1959, p. 712.
[9]. Cristocea, Oprescu 1988, p. 47-49, fig. 5.
Bibliografie:
1. Direcția Arhivelor Naționale Istorice Centrale. (1898). Fond Ministerul Culturii și Instrucțiunii Publice, dosar 280/1898.
2. Adameșteanu, Gh. M., Măgureanu, A., Boroneanț, A., Gavrilă, E., Popescu, R., & Toderaș, M. (2009). Cercetările arheologice din centrul istoric al Bucureștilor. Cimitirul „Bisericii lui Ghiorma Banul - Biserica Grecilor. Cercetări arheologice în „București”, 8, 265-312.
3. Cristocea, S., & Măndescu, C. (2004). Prima monografie a Piteștiului. Argesis. Studii și Comunicări. Seria Istorie, 13, 323-340.
4. Cristocea, S., & Oprescu, C. (1988). Cercetările arheologice de la Mănăstirea Tutana (jud. Argeș) și problema încadrarii tipologice a unui nou triconc de la cumpăna veacurilor XIV-XV. Revista Muzeelor și Monumentelor, 19, 45-58.
5. Păduraru, M., & Radu, A. (2009). Martin Buliga, exponent al elitei negustorești din Țara Românească în prima jumătate a secolului al XVIII-lea. In C. Luca (Ed.), Negustorimea în Țările Române, între Societas Mercatorum și individualitatea mercantilă, în secolele XVI–XVIII (pp. 169-205). Galați: Editura University Press.
6. Popescu, D., & Rosetti, D. V. (1959). Săpăturile arheologice de la Retevoești (r. Curtea De Argeș, reg. Pitești). Materiale și Cercetări Arheologice, 6, 703-717.
7. Tocilescu, G. G. (1887). Raporturi asupra cătoru-va mănăstiri, schituri și biserici din țeră presentate Ministeriului Culteloru și alu învețământului publicu. Bucuresci: Tipografia Academiei Române.
2. Adameșteanu, Gh. M., Măgureanu, A., Boroneanț, A., Gavrilă, E., Popescu, R., & Toderaș, M. (2009). Cercetările arheologice din centrul istoric al Bucureștilor. Cimitirul „Bisericii lui Ghiorma Banul - Biserica Grecilor. Cercetări arheologice în „București”, 8, 265-312.
3. Cristocea, S., & Măndescu, C. (2004). Prima monografie a Piteștiului. Argesis. Studii și Comunicări. Seria Istorie, 13, 323-340.
4. Cristocea, S., & Oprescu, C. (1988). Cercetările arheologice de la Mănăstirea Tutana (jud. Argeș) și problema încadrarii tipologice a unui nou triconc de la cumpăna veacurilor XIV-XV. Revista Muzeelor și Monumentelor, 19, 45-58.
5. Păduraru, M., & Radu, A. (2009). Martin Buliga, exponent al elitei negustorești din Țara Românească în prima jumătate a secolului al XVIII-lea. In C. Luca (Ed.), Negustorimea în Țările Române, între Societas Mercatorum și individualitatea mercantilă, în secolele XVI–XVIII (pp. 169-205). Galați: Editura University Press.
6. Popescu, D., & Rosetti, D. V. (1959). Săpăturile arheologice de la Retevoești (r. Curtea De Argeș, reg. Pitești). Materiale și Cercetări Arheologice, 6, 703-717.
7. Tocilescu, G. G. (1887). Raporturi asupra cătoru-va mănăstiri, schituri și biserici din țeră presentate Ministeriului Culteloru și alu învețământului publicu. Bucuresci: Tipografia Academiei Române.

CC BY-SA 4.0